文档详情

千分尺操作指导书(参考样本)

shaoy****1971
实名认证
店铺
DOC
55KB
约4页
文档ID:108161353
千分尺操作指导书(参考样本)_第1页
1/4

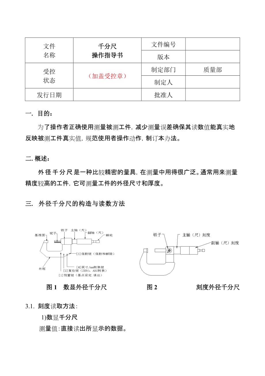
文件名称千分尺操作指导书文件编号版本受控状态(加盖受控章)制定部门质量部制定人发行日期批准人一. 目的:为了操作者正确使用测量被测工件,减少测量误差确保其读数值能真实地反映被测工件真实值,规范使用者操作动作,制订本办法二.概述:外径千分尺是一种比较精密的量具,在测量中用得很广泛通常用来测量精度较高的工件,它可测量工件的外径尺寸和厚度三. 外径千分尺的构造与读数方法图1 数显外径千分尺图2 刻度外径千分尺3.1. 刻度读取方法:1)数显千分尺测量值:直接读出所显示的数据2)刻度显示千分尺:测量值:主轴刻度+副轴刻度根据如下图所示的主轴和副轴放大图,说明如下①首先读出副轴边缘在主轴上的刻度在图三中,由于其边缘在主轴上处于7和7.5之间,所以主轴刻度是7mm.② 读取和主轴刻度基线重合的副轴刻度在下图中,主轴刻度基线对齐到副轴上的37和38之间位置,再根据刻度分量读出其分刻度,就可得0.4,因此副轴刻度是37.4③ 往在②中得到的数据上乘于主轴1个刻度的单位在下图中,由于主轴1个刻度单位是0.1mm,因此0.01×37.4=0.374mm④把①和②的结果相加,就得到(最终)测量值 在下图中,其测量值是7+0.374=7.374mm图三3.2.使用顺序:1)使用前的检查确认。

2)在测量面(基准面,锭子)上,不能有缺口,异物附着现象3)旋转棘轮,检查确认,锭子移动顺利4)用棘轮旋转移动锭子,使基准面和锭子缓慢地接触,然后再空转棘轮若干次 在此时,检查确认基点(零点)正确 *数显千分尺:进行复位,使显示为00.000 *刻度显示千分尺:确认主轴零点和副轴零点重合,如果不重合,需通过调整千分尺主轴来使主轴零点与副轴零点重合5)在被测件的测量处上,不许有粘污,油等异物3.3 作业方法:1)千分尺的保持方法① 在原则上是必须按照图四所示,但根据情况,为了测量方便,允许用一只手保持,进行测量② 在测量时对被测件施加的压力是由棘轮来控制,旋转副轴进行加压和棘轮来加压是相关的,因此要充分利用此关系图四2) 测量顺序 ① 用一只手轻轻拿起被测件 ② 旋转副轴,扩大基准面和锭子间的间距,然后把被测件夹进去 ③ 旋转副轴,使测量面和被测件轻轻接触 ④ 然后再旋转棘轮,当棘轮旋转2~3次时,所显示的数据就是测量值(金属硬物等测量适用)反向缓慢旋转副轴,当被测件在测量面间可移动时,所显示的数据就是测量值(塑料件等测量适用)3) 在测量上的注意点① 必须正确,确实地把被测件的测量处,夹在基准面和锭子内。

图五② 在数显千分尺里装有自动停显装置,因此平时是不显示,但一旦旋转副轴就开始显示,便开始可测量,所以如果零点不准,就有可能带来误差,因此在使用前必须进行零点调整4) 保养方法① 在使用后,不要使基准面和锭子紧密接触,而是要留出间隙(大约0.5-1mm)并紧锁②如果要长时间保管时,必须用清洁布或纱布来擦净成为腐蚀源的切削油、汗、灰尘等后,涂敷低粘度的高级矿物油或防锈剂。

下载提示
相似文档
正为您匹配相似的精品文档