文档详情

NHR-1100系列简明型单回路测量显示控制仪

飞***
实名认证
店铺
DOC
9.14MB
约6页
文档ID:39912021
NHR-1100系列简明型单回路测量显示控制仪_第1页
1/6

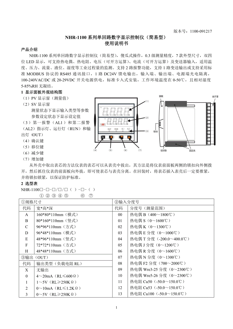
1版本号:1100-091217 NHR-1100 系列单回路数字显示控制仪(简易型)系列单回路数字显示控制仪(简易型) 使用说明书使用说明书 产品介绍产品介绍 NHR-1100 系列单回路数字显示控制仪(简易型) ,傻瓜式操作,0.3 级测量精度,7 款外型尺寸,双 四位 LED 显示,可支持热电偶、热电阻、电压(可开方运算) 、电流(可开方运算)及变送器输入,适用 温度、压力、流量、液位、湿度等工业过程量的监测支持 2 路报警功能,支持 1 路变送输出或支持采用 标准 MODBUS 协议的 RS485 通讯接口,1 路 DC24V 馈电输出,输入端、输出端、电源端光电隔离,100- 240VAC/DC 或 20-29VDC 开关电源供电,标准卡入式安装,工作环境温度在 0-50℃,且相对湿度 5- 85%RH 无凝结 1 显示面板外观结构图显示面板外观结构图 (1)PV 显示窗(测量值) (2)SV 显示窗测量状态下显示输入类型等参数参数设定状态下显示设定值 (3)第一报警(AL1)和第二报警 (AL2)指示灯、运行灯(RUN)和 输出灯(OUT) (4)确认键 (5)移位键 (6)减少键 (7)增加键 从外壳中取出表芯的方法仪表的表芯可以从表壳中拔出,其方法是将仪表前面板两侧的锁扣向外侧拨 开,然后抓住仪表的前面板向外拔,即可使表芯与表壳分离。

在回装时,将表芯插入表壳后一定要推紧, 并将锁扣锁紧,以保证防护标准 2 选型表选型表NHR-1100□-□-□/□/□( )-□-( )① ② ③ ④ ⑤ ⑥ ⑦ ①规格尺寸②输入分度号代码宽*高*深代码分度号(测量范围)A B C D E F H160*80*110mm(横式) 80*160*110mm(竖式) 96*96*110mm(方式) 96*48*110mm(横式) 48*96*110mm(竖式) 72*72*110mm(方式) 48*48*110mm(方式)③输出(OUT)代码输出类型(负载电阻 RL)X 0 1 2 3无输出 4~20mA(RL≤600Ω) 1~5V(RL≥250KΩ) 0~10mA(RL≤1.2KΩ) 0~5V(RL≥250KΩ)00 01 02 03 04 05 06 07 08 09 10 11 12 13热电偶 B(400~1800℃) 热电偶 S(0~1600℃) 热电偶 K(0~1300℃) 热电偶 E 分度(0~1000℃) 热电偶 T 分度(-200.0~400.0℃) 热电偶 J 分度(0~1200℃) 热电偶 R 分度(0~1600℃) 热电偶 N 分度(0~1300℃) 热电偶 F2 分度(700~2000℃) 热电偶 Wre3-25 分度(0~2300℃) 热电偶 Wre5-26 分度(0~2300℃) 热电阻 Cu50(-50.0~150.0℃) 热电阻 Cu53(-50.0~150.0℃) 热电阻 Cu100(-50.0~150.0℃)24 5 D10~20mA(RL≤600Ω) 0~10V(RL≥4KΩ) RS-485 通讯接口(Modbus)④报警(继电器触点输出) (见备注)代码报警限数X 1 2无输出 1 限报警 2 限报警⑤馈电输出代码馈电输出(输出电压)X P无输出 馈电输出(负载电流≤30mA) 如“P(24) ”表示馈电输出 24V⑥供电电源代码电压范围A DAC/DC 100~240(AC/50-60Hz) DC 20~29V⑦备注无备注可省略14 15 16 17 18 19 20 21 22 23 24 25 26 27 28 29 30 31 32 33 34 35 55热电阻 Pt100(-200.0~650.0℃) 热电阻 BA1(-200.0~600.0℃) 热电阻 BA2(-200.0~600.0℃) 线性电阻 0~400Ω(-1999~9999) 远传电阻 0~350Ω(-1999~9999) 线性电阻 30~350Ω(-1999~9999) 0~20mV(-1999~9999) 0~40mV(-1999~9999) 0~100mV(-1999~9999) 内部保留 内部保留 0~20mA(-1999~9999) 0~10mA(-1999~9999) 4~20mA(-1999~9999) 0~5V(-1999~9999) 1~5V(-1999~9999) 内部保留 0~10V(-1999~9999) 0~10mA 开方(-1999~9999) 4~20mA 开方(-1999~9999) 0~5V 开方(-1999~9999) 1~5V 开方(-1999~9999) 全切换备注: 1 路继电器(带有常开常闭触点) 触点容量:AC220V/3A、DC30V/5A (阻性负载) 2 路继电器(仅一组常开触点) 触点容量:AC220V/3A、DC30V/5A (阻性负载) 规格尺寸为 H 的仪表,继电器触点容量:AC220V/0.6A、DC30V/0.6A(阻性负载) 3 接线接线规格尺寸为 A、B、C、D、E 型接线图注:横竖式仪表后盖接线端子方向不一样,见示意图 13规格尺寸为 F 型接线图规格尺寸为 H 型接线图 注:上述接线图中在同一组端子标有不同功能的,只能选择其中一种功能。

如 RS485 通讯功能和变送 输出功能在同一组 OUT 接线端子上,只能选择一种 规格尺寸为 A、B、C、D、E、H 型仪表输入信号对应的短路环设置如下图44 操作操作 仪表上电自检后,自动进入工作状态,在工作状态下,按 键进行参数设置 (1)长按 仪表复位; (2)在其它任何菜单下,长按 键 5 秒回到测量画面; ★返回工作状态 (1)手动返回:在仪表参数设定模式下,按住 键 5 秒后,仪表自动回到实时测量状态 (2)自动返回:在仪表参数设定模式下,不按任一键,60 秒后,仪表将自动回到实时测量状态 4.1 一级参数设置 在工作状态下,按压 键 PV 显示 LOC,SV 显示参数字符:按增加、减少键来进行设置 一级参数如下(下表参数与订货型号所带功能对应,无此功能时与之相对应的参数不显示):参数符号名称设定范围(字)说明出厂预定值LOC设定参数禁锁LOC=00LOC≠00,132LOC=132无禁锁(一级参数修改有效)禁锁(一级参数修改有效)无禁锁(一级参数、二级参数修改有效)00AL1第一报警值-1999~9999第一报警的报警设定值50 或 50.0AL2第二报警值-1999~9999第二报警的报警设定值50 或 50.0AH1第一报警回差0~9999第一报警回差值02 或 2.0AH2第二报警回差0~9999第二报警回差值02 或 2.0SdiSSV 显示窗测量状态显示内容SdiS=0SdiS=1SdiS=2SdiS=4SdiS=5SdiS=6SdiS=7显示输入分度号显示第一报警值显示第二报警值不显示不显示显示℃不显示04.2 二级参数设置 在工作状态下,按压 键 PV 显示 LOC,SV 显示参数字符:按压增加、减少键来进行设置, Loc=132 且长按 键进入二级参数。

二级参数如下(下表参数与订货型号所带功能对应,无此功能时与之相对应的参数不显示):参数符号名称设定范围(字)说明出厂预定值PN输入分度号0~35设定输入分度号类型(见二级参数 Pn 对照表)4-20DP小数点dP=0dP=1dP=2dP=3无小数点小数点在十位(显示 XXX.X)小数点在百位(显示 XX.XX)小数点在千位(显示 X.XXX)0ALM1第一报警方式ALM1=0ALM1=1ALM1=2无报警第一报警为下限报警第一报警为上限报警2ALM2第二报警方式ALM2=0ALM2=1ALM2=2无报警第二报警为下限报警第二报警为上限报警1FK滤波系数0~4设置仪表滤波系数防止显示值跳动05Addr设备号0~250设定通讯时本仪表的设备代号1Baud通讯波特率1200240048009600通讯波特率为 1200bps通讯波特率为 2400bps通讯波特率为 4800bps通讯波特率为 9600bps9600Pb显示输入的零点迁移全量程设定显示输入零点的迁移量0PK显示输入的量程比例0~1.999 倍设定显示输入量程的放大比例1.000OUL变送输出量程下限全量程设定变送输出的下限量程0OUH变送输出量程上限全量程设定变送输出的上限量程1000PL测量量程下限全量程设定输入信号的测量下限量程0PH测量量程上限全量程设定输入信号的测量上限量程1000CUT测量小信号切除0.000-1.000此功能仅对电压/电流开方信号有效,公式:输入信号<输入信号下限+(输入信号上限-输入信号下限)*设定百分比时,仪表显示测量量程下限0.000OUT变送输出类型信号类型参数符号信号类型参数符号0-20mA20mA0-5V0-5V0-10mA10mA1-5V1-5V4-20mA4-20无输出0mA4-20T-Pb冷端零点修正全量程设定冷端零点修正值0T-PK冷端增益修正0~1.999 倍设定冷端增益修正值1.000二级参数 Pn 对照表:代码信号类型参数符号量程范围0B 偶T--B400~1800℃1S 偶T--S0~1600℃2K 偶T--K0~1300℃3E 偶T--E0~1000℃4T 偶T--T-200.0~400.0℃5J 偶T--J0~1200℃6R 偶T--R0~1600℃7N 偶T--N0~1300℃8F2 分度T-F20~1300℃9Wre3-25 分度T-L30~2300℃10Wre5-26 分度T-L50~2300℃611热电阻 Cu50Cu50-50.0~150.0℃12热电阻 Cu53Cu53-50.0~150.0℃13热电阻 Cu100C100-50.0~150.0℃14热电阻 Pt100P100-200.0~650.0℃15热电阻 BA1BA1-200.0~600.0℃16热电阻 BA2BA2-200.0~600.0℃170~500Ω 线性电阻RO.5K0~500Ω 线性电阻180~350Ω 远传电阻0350全量程1930~350Ω 远传电阻3350全量程200-20mV20MV全量程210-40mV40MV全量程220-100mV100MV全量程250-20mA20MV全量程260-10mA10MV全量程274-20mA4-20全量程280-5V0-5V全量程291-5V1-5V全量程310-10V10V全量程320-10mA 开方1.0MA全量程334-20mA 开方4.-20全量程340-5V 开方0.-5V全量程351-5V 开方1.-5V全量程55全切换全量程注:选择快速切换分度号的方法:更改二级参数 Pn,将小数点移动到千位或百位上,按增加或减少键 切换第一位和最后一位分度号;小数点在十位时,间隔十位切换分度号;小数点在个位时,依次切换分度 号。

5 数字通讯数字通讯 数字通讯允许显示仪与 PC 或计算机网络系统进行通讯通讯协议采用 MODBUS RTU 协议,要了解 协议的详情可访问问:www.modbus.org 网站不建议使用不隔离的接口板,可能因为干扰或地电位不同而 影响通讯导线应采用带屏蔽的双绞线 ★具体参数请参见《仪表通讯手册》6本使用说明书内容若有变动,恕不另行通知。

下载提示
相似文档
正为您匹配相似的精品文档